Amaravathi Gold

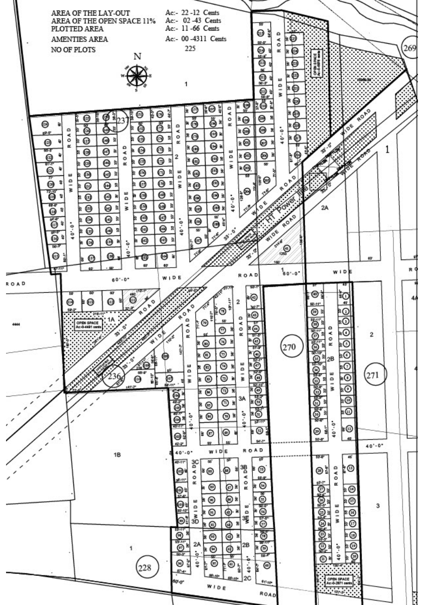
Total Land Layout 22 Acres
28,000/- per SQ,Y
AP CRDA Layout RERA Approved
Open Space 2.43 Cents
Plotted Area 11.6 Cents
Aminities Area 43 Cents
RERA Approved
22 Acres

Description

Introducing Amaravathi Gold, an enchanting residential development set on a sprawling 22 acres of land. This RERA-approved layout offers a prime opportunity with a competitive price of 28,000/- per SQ.Y. The project features a generous open space of 2.43 cents and a plotted area of 11.6 cents, ensuring ample room for your dream home.

Additionally, the amenities area spans 43 cents, providing residents with a variety of recreational options. Experience the perfect blend of luxury and comfort in this thoughtfully designed community, where every detail is crafted to enhance your living experience

PROJECT AMENITIES

Grand Entrance Arch

For Entrance

40 Feet Road

Provided

Underground Drainage

Available

Street Lights & Electricity

Provided

Avenue Plantation

Established

Water Tank

Installed

Entire Layout with Compound Wall

Secured

Beautiful Parks

Available

Children's Play Area

Included

Walking & Jogging Track

Provided

Full Facilities for Immediate Construction

Ready

24/7 Security

Ensured



PROJECT LOCATION AND LAND MARKS

Location:

Near Vijetha Super Market, Left Side N.T.R. Maarg and NMR Flats

Venture Location:

Gollpudi Village

Available Plots in Phase

  • Total Plots: 218
  • East Facing: 97
  • West Facing: 110
  • North Facing: 4

Highlights

Hyderabad NH-65 --3KM
Jakampudi --5KM
Vijayawada PN BusStand--10KM
Vijayawada Railway Station --10KM
Vijayawada International Airport(East Bypass)--28KM
Amaravathi Capital Area --4KM
Velagapudi secretariat --20KM

Layout